112年:醫學四(2)

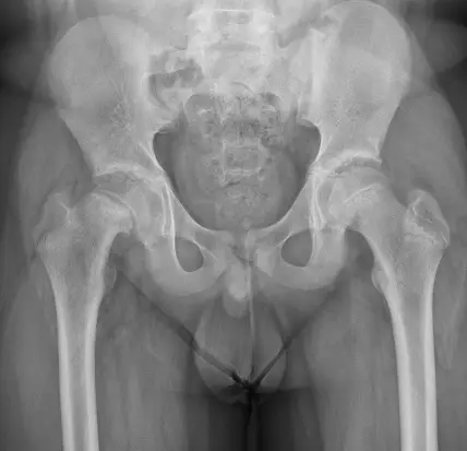
某病人常抱怨右側髖關節疼痛且走路一拐一拐的。門診的 X 光片影像如圖所示,下列敘述何者錯誤? 圖片描述

A此疾病好發於青少年
B病灶在股骨頭( femoral head )
C造成此問題的原因為生長板( growth plate )受傷
D建議以保守治療為主,不建議手術治療

詳細解析

本題觀念:

探討 Slipped Capital Femoral Epiphysis(SCFE)在青少年時期因股骨近端生長板(physis)脫臼所引發的骨骼病變,包括典型影像學特徵、病理機轉及最佳處置方式。

影像分析:

從病人骨盆髖關節正位 X 光片可見右側股骨近端生長板區域明顯增寬且邊緣不規則(physis widening and irregularity),同時股骨頸相對於股骨頭出現向上、向前的移位(metaphyseal prominence),形成所謂「冰淇淋掉落」徵象。髖關節呈外旋位置,反映 Drehmann’s sign(被動屈髖時出現外旋),這些都是 SCFE 的典型放射線表現(pubmed.ncbi.nlm.nih.gov)。

選項分析

...(解析預覽)...